12 PARCELAS DE COMERCIAL MARES DE CHILOE

Precio Mínimo:

LOTES DE $67.000.000 A $121.000.000


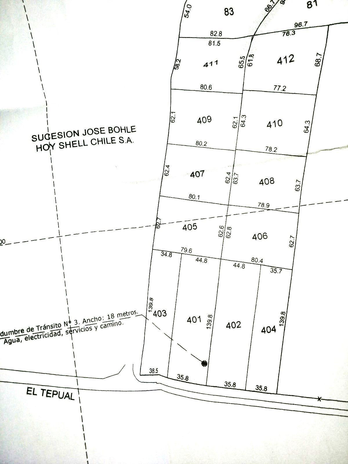
Se subastarán 12 parcelas rurales, que forman parte de una parcelación industrial, emplazado en la ruta 226 Camino a Tepual Km 6, sector rural, con preferencia de uso industrial, con diversas plantas de procesos, bodegas, y otras empresas de bodegaje y servicios. Valorización diferenciada por parcela, por sectores según grado de urbanización, nivelación y compactación de terreno. La totalidad de los lotes totalizan una superficie de 54.475 M2, descontadas las servidumbres de acceso. A continuación, se individualizan las parcelas y sus mínimos.

41°25'55"S 73°03'10"W

Garantía: (10% DEL VALOR DEL INMUEBLE)

Remate: 15-12-2023 / 12:00hrs

Comisión Martillero: 2% +IVA

  • DESCRIPCIÓN DE LA PROPIEDAD

    1) Inmueble denominado Lote 401, que forma parte de un predio ubicado en Lagunitas, comuna de Puerto Montt. Inscrita a fojas 3236 vuelta, con el N.°4826 en el registro de propiedad del año 2021 (Hip. BCI)MINIMO: $109.000.000


    2) Inmueble denominado Lote 402, que forma parte de un predio ubicado en Lagunitas, comuna de Puerto Montt. Inscrita a fojas 3237, con el N°4827 en el registro de propiedad del año 2021 (Hip. BCI). MINIMO: $109.000.000


    3) Inmueble denominado Lote 403, que forma parte de un predio ubicado en Lagunitas, comuna de Puerto Montt. Inscrita a fojas 3237 vuelta, con el N.°4828 en el registro de propiedad del año 2021 (Hip. BCI). MINIMO:$121.000.000


    4) Inmueble denominado Lote 404, que forma parte de un predio ubicado en Lagunitas, comuna de Puerto Montt. Inscrita a fojas 3238, con el N°4829 en el registro de propiedad del año 2021 (Hip. BCI). MINIMO: $121.000.000


    5) Inmueble denominado Lote 405, que forma parte de un predio ubicado en Lagunitas, comuna de Puerto Montt. Inscrita a fojas 3232, con el N°4818 en el registro de propiedad del año 2021 (Hip. Sant.). MINIMO: $67.000.000


    6) Inmueble denominado Lote 406, que forma parte de un predio ubicado en Lagunitas, comuna de Puerto Montt. Inscrita a fojas 3238 vuelta, con el N.°4830 en el registro de propiedad del año 2021 (Hip. BCI). MINIMO: $67.000.000


    7) Inmueble denominado Lote 407, que forma parte de un predio ubicado en Lagunitas, comuna de Puerto Montt. Inscrita a fojas 3232 vuelta, con el N.°4819 en el registro de propiedad del año 2021 (Hip. Sant.). MINIMO: $67.000.000


    8) Inmueble denominado Lote 408, que forma parte de un predio ubicado en Lagunitas, comuna de Puerto Montt. Inscrita a fojas 3239, con el N°4831 en el registro de propiedad del año 2021 (Hip. BCI). MINIMO: $67.000.000


    9) Inmueble denominado Lote 409, que forma parte de un predio ubicado en Lagunitas, comuna de Puerto Montt. Inscrita a fojas 3233, con el N°4820 en el registro de propiedad del año 2021 (Hip. Sant.). MINIMO: $67.000.000


    10)Inmueble denominado Lote 410, que forma parte de un predio ubicado en Lagunitas, comuna de Puerto Montt. Inscrita a fojas 3233 vuelta, con el N.°4821 en el registro de propiedad del año 2021 (Hip. Sant.). MINIMO: $67.000.000


    11)Inmueble denominado Lote 411, que forma parte de un predio ubicado en Lagunitas, comuna de Puerto Montt. Inscrita a fojas 3234, con el N°4822 en el registro de propiedad del año 2021 (Hip. Sant.) MINIMO: $67.000.000


    12)Inmueble denominado Lote 412, que forma parte de un predio ubicado en Lagunitas, comuna de Puerto Montt. Inscrita a fojas 3234 vuelta, con el N.°4823 en el registro de propiedad del año 2021 (Hip. Sant.). MINIMO: $67.000.000

   MULTIMEDIA

   UBICACIÓN